予約可能日時
※日付を選ぶと予約時刻を選択できるようになります。
見どころ
JR豊肥本線「原水駅」まで徒歩6分
「ゆめタウン光の森」まで車で8分
グランヒルズ原水駅南
先着順申込受付開始!
菊陽町原水に全19区画OPEN!
原水駅まで徒歩6分、菊陽バイパスにも近い
アクセス抜群の立地です。
また、ゆめタウン光の森やMEGAドンキなど、
車で10分圏内!
全区画60坪以上のゆとりと開放感のある街並み♪
菊陽町でご検討中の方にぜひご覧いただきたい分譲地です!

5つのおすすめポイント♪
①「原水駅」まで徒歩6分!
通勤・通学に便利なJR豊肥本線「原水駅」まで徒歩6分!
熊本駅や光の森、大津に停車するから休日のおでかけにも便利!土・日の渋滞を気にせず出かけられます♪
②新しい街だから新生活のスタートも安心
大型分譲地だから新しいコミュニティを形成しやすい環境です。たくさんのご家族が同時期に新生活をスタートするので、ご近所付き合いも安心。
③お出かけしたくなるお店がいっぱい♪
菊陽バイパス沿いには、MEGAドンキやカフェ、飲食店など多数!
さらに、ゆめタウン光の森も車で8分!阿蘇方面へも一直線!
休日のお出かけが楽しみになる街です♪
④分譲地の道路は6~9.5m幅!
大きな車でも、駐車や車のすれ違いがスムーズに行えるゆったりとした道路幅。
これだけ広いので、運転がちょっと苦手…の方も安心して運転できます。
また、小さいお子様と手つないで横並びに歩いても安全な広さなので、分譲地内の公園に遊びに行くのも安心♪
⑤分譲地内には遊具付の大きな公園も!
分譲地内にはブランコやすべり台などの遊具がある大きな公園も。小さなお子様がいるご家庭も安心して遊ばせられます♪
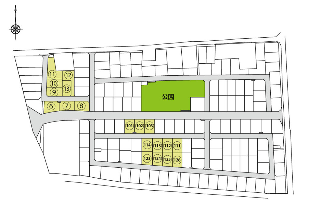
★区画割図★


★周辺環境★

交通機関
- JR豊肥本線「原水」駅 徒歩6分/約480m
- 九州産交バス「原水駅前」停 徒歩6分/約480m
教育施設
- 菊陽北小学校 徒歩14分/約1,100m
- 菊陽中学校 徒歩9分/約700m
- 町立保育所みどり園 徒歩7分/約560m
- さくら保育園 徒歩12分/約940m
商業施設
- ゆめタウン光の森 車8分/約4,500m
- ザ・ビッグ 菊陽店 車4分/約2,000m
- ローソン 菊陽原水下原店 徒歩9分/約700m
- MEGAドン・キホーテ 菊陽店 車5分/約2,600m
- ハンズマン 菊陽店 車5分/約2,600m
医療機関
- 熊本セントラル病院 車4分/約1,900m
- 菊陽台病院 車2分/約750m
- 石川歯科病院 徒歩5分/約330m
公共施設
- 菊陽町役場 徒歩9分/約660m
- 菊陽原水郵便局 徒歩7分/約500m
- 肥後銀行 菊陽支店 車6分/約3,200m
- 熊本信用金庫 菊陽支店 車5分/約3,000m
- 緑陽台東公園 徒歩3分/約230m
☆人気のBOX型おすすめプラン☆

【10号地おすすめプラン】
土地+建物+外構+消費税+保証
月々 75,980円
ボーナス払い / 72,459円
総額 / 3,728.7万円
土地 / 1,796万円(209.31㎡・63.31坪)
建物 / 1,932.7万円(89.43㎡・27.05坪)
頭金 / 78.7万円 借入額 / 3,650万円
●市中地方銀行提携ローン40年返済●変動金利型優遇タイプ金利0.75%(分譲地特別金利)使用の場合※借入期間中は店頭基準金利から2.125%を優遇●適用される金利は、融資実行日の金利となりますので表示の金利とは異なる場合があります。●諸費用は別途申し受けます。※金利はお客様によって異なります。
★物件概要★
土地価格:1,796万円~2,330万円
土地面積:206.83㎡(62.56坪)~342.47㎡(103.59坪)
所在地:熊本県菊池郡菊陽町大字原水字向原969-1 外
交通①:JR豊肥本線「原水」駅/約480m(徒歩6分)
交通②:九州産交バス「原水駅前」バス停/約480m(徒歩6分)
校区:菊陽北小学校・菊陽中学校
地目:宅地
用途地域:指定なし(市街化調整区域)
建ぺい率:40%
容積率:80%
道路:団地内道路/6~9.5m幅、前面道路/6m幅
取引形態:売主
仲介手数料:なし
設備:公営水道/九州電力/下水道/個別プロパン/側溝排水
備考:建築条件付き宅地
土地面積:206.83㎡(62.56坪)~342.47㎡(103.59坪)
所在地:熊本県菊池郡菊陽町大字原水字向原969-1 外
交通①:JR豊肥本線「原水」駅/約480m(徒歩6分)
交通②:九州産交バス「原水駅前」バス停/約480m(徒歩6分)
校区:菊陽北小学校・菊陽中学校
地目:宅地
用途地域:指定なし(市街化調整区域)
建ぺい率:40%
容積率:80%
道路:団地内道路/6~9.5m幅、前面道路/6m幅
取引形態:売主
仲介手数料:なし
設備:公営水道/九州電力/下水道/個別プロパン/側溝排水
備考:建築条件付き宅地
※記載の価格は予定価格です。確定測量により多少増減する場合があります。
※スタッフが常駐しておりませんので、必ずご予約をお願い致します。
※当日のご相談・ご見学も可能です。お電話にてお気軽にお問い合わせください。
※平日のご見学希望の方は、お電話にてその旨お知らせください。
※ご予約の際は、希望日時と来場予定の人数をお伝え頂けると幸いです。
※ご案内は予約優先制とさせて頂いております。
※平日のご見学希望の方は、お電話にてその旨お知らせください。
※ご予約の際は、希望日時と来場予定の人数をお伝え頂けると幸いです。
※ご案内は予約優先制とさせて頂いております。
WEB予約来場特典
━━━━━━
このページからのご予約でオトクな特典をプレゼント!

【来場特典プレゼント対象条件】
・前日までのご予約で5,000円分
・当日のご予約で2,000円分
①TAKASUGIのモデルハウス・分譲地に初めてご来場で、菊陽町でお家づくりをお考えの方。
②ご夫婦で来場いただいた方。
③ご来場時にアンケートにご協力いただいた方。
※建て替え、他社でご契約・建築中の方は対象外とさせて頂きます。
マップ
熊本県菊池郡菊陽町原水字向原
キャンペーン情報
概要
| タイトル | 「TSMC」で大注目の菊陽町に分譲地誕生! |
|---|---|
| 開催日時 |
2024-11-02 ~ 2025-03-31
10:00〜17:00 |
| 開催場所 | 熊本県菊池郡菊陽町原水字向原 |
| 種別 | 予約制 |
| 種類 | 建築条件付土地販売会 |
| 会社ホームページ | https://home.takasugi.co.jp/ |